Esser Makelaardij
Bekijk woning aanbod
Terug

Woonhuis – Grenssteen 19, Zeeland

Vraagprijs
€ 445.000 k.k.
|kosten koper|

In een rustige en kindvriendelijke woonwijk in Zeeland ligt deze sfeervolle tussenwoning uit 2008, uitgevoerd in een chique en tegelijkertijd moderne stijl. Deze gezinswoning is recent grotendeels vernieuwd en voelt dankzij de afwerking, indeling en lichtinval als een warm en eigentijds thuis. De keuken en badkamer zijn in 2024 volledig vernieuwd en dat is te zien: beide ruimtes zijn stijlvol, luxe en tot in detail afgewerkt. Met drie volwaardige slaapkamers, een gezellige tuin met overkapping, een hippe vloer in een hongaarse punt vloer en een moderne woonkeuken is dit een ideale woning voor wie comfortabel en instapklaar wil wonen. Deze leuke woning ligt aan het rand van het dorp waardoor je op steenworp afstand van het groen ligt. 

Je komt binnen via een overdekte entree in de hal, waar zich de meterkast, trapopgang, trapkast en een extra kast, ideaal voor het opbergen van o.a. schoenen en een moderne toiletruimte bevinden. Vanuit de hal stap je direct de ruime woonkamer binnen. Dankzij de grote ramen aan de achterzijde is dit een lichte en aangename leefruimte. De pvc hongaarse punt in warme houttint en de strakke wandafwerking zorgen voor een stijlvolle basis. Openslaande deuren geven toegang tot de achtertuin, waardoor binnen en buiten op natuurlijke wijze met elkaar verbonden zijn.
De keuken bevindt zich aan de voorzijde van de woning en is in 2024 volledig vernieuwd. Hier is gekozen voor een moderne stijl, gecombineerd met luxe apparatuur. De keuken is voorzien van een inductiekookplaat met automatische afzuiging, een combi-oven met airfryer-functie, vaatwasser, koel-vriescombinatie en een Quooker Qube voor zowel kokend, bruisend en koud water. Het geheel is prachtig afgewerkt en biedt voldoende werk- en opbergruimte. Tevens zijn de deurkastjes voorzien van een extra fingerprint-proof laag. 

Op de eerste verdieping bevinden zich twee royale slaapkamers, beide met een strakke afwerking en veel lichtinval. De grootste kamer ligt aan de achterzijde en is over de volle breedte van de woning gesitueerd. De tweede slaapkamer is aan de voorzijde geplaatst en is eveneens ruim van opzet. De badkamer is een echte eyecatcher. Deze is in 2024 volledig vernieuwd en uitgevoerd in een hoogwaardige bohemian chique stijl. Er is een ruime inloopdouche met glazen wand, een groot ligbad, een dubbele wastafel met stijlvol meubel en elektrische vloerverwarming voor extra comfort.
De tweede verdieping biedt nog een fijne derde slaapkamer met dakraam. Deze ruimte is perfect als logeer- of werkkamer, maar ook als tienerkamer of hobbyruimte. Daarnaast is er op zolder plek voor de wasmachine en droger, en extra bergruimte onder de knieschotten. 

De achtertuin is verzorgd aangelegd en biedt volop ruimte om te ontspannen of buiten te eten. Direct achter de woning is een ruime overkapping geplaatst, waardoor je ook bij minder weer comfortabel buiten kunt zitten, deze heerlijke overkapping heeft een fijne lichtstraat. Tevens heb je bi de zitbank in de tuin extra bergruimte door een klepdeksel.  De tuin is grotendeels bestraat en vraagt weinig onderhoud.  Tevens is de achtertuin bereikbaar middels de brandgang. Aan de voorzijde van de woning is voldoende openbare parkeergelegenheid beschikbaar.

Overdracht
Vraagprijs € 445.000 k.k.
Status O.v. verkocht
Aanvaarding In overleg
Bouwvorm Bestaande bouw
Bouwvorm type Bestaande bouw
Indeling
Aantal kamers 4 (3 slaapkamers)
Etage's 3 woonlagen
Begane grond Entree, hal, meterkast, toilet, woonkamer, keuken
Eerste etage Overloop, 2 slaapkamers, badkamer
Tweede etage Slaapkamer, cv-ruimte
Berging Tuinberging aanwezig
Oppervlakten en inhoud
Woonoppervlakte 114 m²
Inhoud 400 m³
Perceeloppervlakte 110 m²
Tuin Gelegen op het Noordwesten
Ligging Gelegen in een rustige woonwijk
Overige
Energielabel A
Kwaliteit In goede staat
Parkeerplaatsen Openbare parkeergelegenheid
Bouwjaar 2008
Verwarming Middels cv-ketel
CV ketel Tzerra Ace-Matic 35c CW5 (2023)
Warmwater Middels cv-ketel
Isolatie Volledig geïsoleerd
Huidige gebruik Wonen
Huidige bestemming Wonen
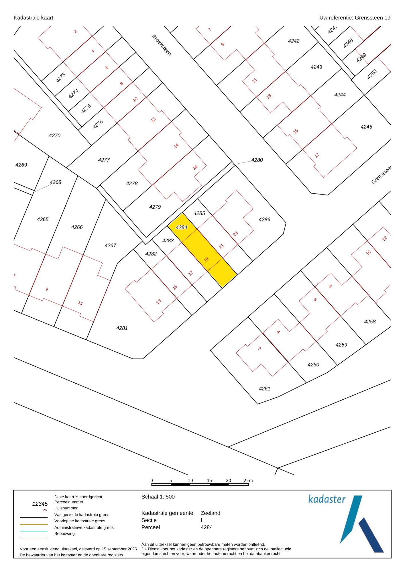
Kadastrale gemeente Zeeland
Soort eigendom/land Eigendom
Sectie H 4284
Bijzonderheden
o Keuken en badkamer vernieuwd in 2024
o Drie slaapkamers en ruime badkamer
o Pvc vloer begane grond en laminaatvloer (1e verdieping) vorig jaar vernieuwd
o Keuken met Quooker Qube
o Cv-ketel uit 2023 
o Voorzien van horren op begane grond en eerste verdieping
Routebeschrijving Grenssteen 19, 5411 BT Zeeland
Paul Esser
Telefoon
0413-246 555
Mobiel
06-20 00 63 19
Luuk van Schijndel
Telefoon
0413-246 555
Mobiel
06-15 85 12 17